Local Service Overview

Get Ants Extermination Service in Blue Ridge, TX

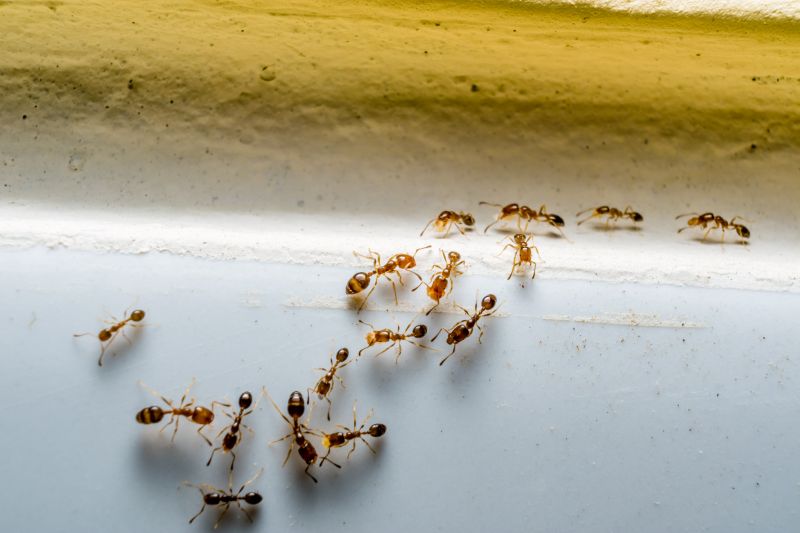
Ants extermination services for property owners in Blue Ridge, TX and nearby areas address ant infestations, including removal, prevention, and treatment of common ant problems.

Blue Ridge, TX

Ants extermination services in Blue Ridge, TX help property owners address common pest issues that can impact daily life and property value. By effectively managing ant populations, property owners can enjoy increased comfort and safety within their homes and businesses. Removing ants reduces the risk of structural damage, contamination, and unwanted infestations, making spaces more functional and enjoyable for residents and visitors alike.

In addition to immediate pest control benefits, professional ant extermination can enhance the durability and curb appeal of a property. Proper treatment minimizes the need for frequent maintenance and repairs caused by ant activity, helping maintain the property's appearance and structural integrity over time. This service supports a cleaner, more inviting environment, contributing to a well-maintained and attractive property in Blue Ridge.

Get Ants Extermination Service Quotes

  • Ants Infestation Control - needed when ants invade kitchens, pantries, or other indoor spaces in residential or commercial properties.
  • Outdoor Ant Extermination - required for yards, gardens, or outdoor areas experiencing persistent ant colonies.
  • Carpenter Ant Removal - necessary when wood structures show signs of damage or when large, invasive ants are present.
  • Preventive Ant Treatments - useful for homeowners seeking to stop ant problems before they start in high-risk areas.
  • Emergency Ant Extermination - needed when ant infestations suddenly become overwhelming or difficult to manage.

Get Ants Extermination Service Quotes

Ants Extermination Service
Ants Extermination Service
Ants Extermination Service

Ants extermination services involve identifying the source of an ant infestation, implementing targeted treatment methods, and providing ongoing solutions to prevent future issues. These services typically include thorough inspections to locate nests and entry points, followed by the application of appropriate insecticides or baiting systems designed to eliminate ants at their source. Many service providers also offer advice on sanitation and property modifications to reduce attractants, helping to manage and control ant populations effectively.

Ant infestations can pose significant problems for both residential and commercial properties. Ants can invade kitchens, pantries, and other areas where food is stored, leading to contamination and potential health concerns. In addition, large colonies can cause structural damage, especially if species like carpenter ants are involved. Exterminating ants promptly can help prevent these issues from escalating, maintaining a cleaner and safer environment for occupants and visitors.

Properties that commonly utilize ant extermination services include single-family homes, apartment complexes, restaurants, and retail stores. Residential properties often seek treatment to protect food supplies and prevent the spread of pests within the household. Commercial establishments, particularly those involved in food service or retail, require regular pest control to comply with health regulations and ensure customer safety. Additionally, property managers and landlords may arrange for ongoing pest management to maintain the overall integrity and appeal of their buildings.

Professional ant extermination services are tailored to address the specific needs of each property type and infestation severity. Service providers use a variety of techniques and products suited for different environments, ensuring effective and safe pest control. Contacting local pest control specialists can provide property owners with expert assistance in managing ant problems, helping to restore comfort and hygiene to homes and businesses alike.

The overview below groups typical Ants Extermination Service projects into broad ranges so you can see how smaller, mid-sized, and larger jobs often compare in Blue Ridge, TX.

In many markets, a large share of routine jobs stays in the lower and middle ranges, while only a smaller percentage of projects moves into the highest bands when the work is more complex or site conditions are harder than average.

Initial Inspection - The cost for an ant inspection typically ranges from $50 to $150, depending on the property size and complexity. Some providers may charge a flat fee or include it with treatment services.

One-Time Treatment - A single ant extermination service can cost between $100 and $300. Larger infestations or extensive properties may incur higher fees, often reaching around $350.

Ongoing Prevention - Monthly or quarterly ant prevention plans usually range from $30 to $70 per visit. These plans often include inspections and barrier treatments to help maintain control.

Barrier Treatments - Professional barrier treatments for ant control typically cost between $150 and $400. The price varies based on the size of the area to be treated and the type of treatment used.

Actual totals will depend on details like access to the work area, the scope of the project, and the materials selected, so use these as general starting points rather than exact figures.

Get an Ants Extermination Service Quote

Ants Extermination - Local pest control providers offer specialized services to eliminate ant infestations in residential and commercial properties in Blue Ridge, TX and surrounding areas.

Ants Prevention - Service providers can implement preventative measures to reduce the likelihood of future ant problems through targeted treatments and property inspections.

Ants Inspection - Professionals conduct detailed inspections to identify ant entry points, nesting sites, and the extent of the infestation for effective treatment planning.

Ants Baiting - Local pros utilize baiting techniques to attract and eliminate ants, helping to control colonies without extensive chemical use.

Ants Barrier Treatments - Service providers apply barrier treatments around structures to create a protective perimeter against ant intrusion.

Ants Removal Consultation - Experts provide consultation services to assess ant issues and recommend the most appropriate treatment options for property owners.

Ants Extermination Service

When comparing local professionals for ant extermination services, experience is a key factor to consider. It’s beneficial to review how long each service provider has been operating in the Blue Ridge area or nearby communities, as well as their familiarity with common ant issues in the region. A contractor with a substantial track record may demonstrate a deeper understanding of effective treatment methods and the ability to handle various infestation scenarios, which can contribute to more reliable results.

Clear, written expectations are essential for establishing a mutual understanding of the scope of work, treatment procedures, and any necessary follow-up. Reputable service providers typically outline these details in their communications or service agreements, helping homeowners understand what to anticipate. When evaluating options, it’s helpful to seek providers who are transparent about their approach and willing to provide detailed explanations of their methods, ensuring alignment with homeowner preferences and concerns.

Reputation and communication also play significant roles in selecting a pest control professional. Local references or reviews can offer insights into the experiences of previous clients, highlighting the consistency and quality of service. Additionally, effective communication-whether through prompt responses, clarity in explanations, or willingness to answer questions-can contribute to a smoother service experience. While the information below introduces local options, it’s important to contact the individual pros directly to assess their reputation and communication style before making a decision.

Get an Ants Extermination Service Quote

Property owners in Blue Ridge, TX use Ants Extermination Service services for practical projects around their homes and businesses. The sections below highlight everyday jobs and straightforward project options.

Ants Extermination Service
Ants Extermination Service

Ants extermination services are often sought by property owners in Blue Ridge, TX, when ants become a persistent nuisance indoors or around the property. Common situations include noticing ant trails in kitchens or bathrooms, discovering ant nests in lawns or garden beds, or experiencing an increase in ant activity during warmer months. These services help address the immediate problem and prevent future infestations, ensuring a more comfortable living or working environment.

Property owners may also seek ant extermination when ants threaten to invade stored food supplies or damage plants and wooden structures. In some cases, ants can be a sign of underlying issues such as moisture problems or entry points that need sealing. Engaging local pest control providers can assist in identifying the source of the infestation and implementing targeted solutions to keep ants from returning.

Get an Ants Extermination Service Quote

How do ant extermination services work? Ant extermination services typically involve inspecting the property to identify ant colonies, applying targeted treatments to eliminate the pests, and advising on prevention methods to reduce future infestations.

Are ant extermination treatments safe for pets and children? Many local pros use treatments that are considered safe when applied properly; it is recommended to discuss any concerns with the service provider before treatment.

How long does an ant extermination treatment take? The duration of treatment varies depending on the extent of the infestation and the methods used, but most services are completed within a few hours.

Will I need multiple treatments to control ants? Some ant species may require more than one treatment for complete control, especially if the colony is extensive or hidden deep within structures.

How can I prevent future ant problems? Local pros often recommend sealing entry points, maintaining clean surroundings, and removing food sources to help prevent ant re-infestation.

Ant Control Solutions - Local pest control providers offer targeted treatments to eliminate ant infestations and prevent future issues.

Inspection and Identification - Professionals can assess property conditions to identify ant species and pinpoint entry points.

Customized Treatment Plans - Service providers develop tailored strategies to address specific ant problems effectively.

Preventive Advice - Experts share recommendations on sanitation and structural repairs to reduce ant attraction and entry.

Ants Extermination Service

Considering Ants Extermination Service for a property in Blue Ridge, TX? The sections above highlight common project types, practical options, and details that often shape the scope of work.

When you are ready, use the quote form to share a few details about your project. Local pros can review the basics and respond with options that match what you have in mind.

Get an Ants Extermination Service Quote

Ants Extermination Quotes

Our Trusted Partners
Cantu Pest Control
Orkin
Hawx Pest Control