Why Ant Infestations Keep Returning Without Professional Treatment

Understanding why ant infestations keep returning without professional treatment highlights the importance of local contractors who can identify and eliminate hidden nests and entry points effectively.

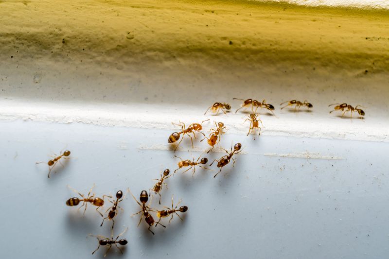
Understanding why ant infestations keep returning without professional treatment can be a common concern for property owners in the area. Ants are persistent pests that often find ways to reappear even after attempts at DIY removal, mainly because they tend to establish hidden colonies deep within walls, soil, or other hard-to-reach places. These insects are highly adaptable, and without targeted solutions, they can quickly re-invade spaces, especially if their underlying nesting sites remain undisturbed. Local contractors specializing in ant control have the experience and tools to identify these hidden colonies and address the root causes, helping to break the cycle of recurring infestations.

For property owners exploring this topic, it’s important to recognize that ongoing ant problems often stem from factors like access points around the property, persistent food sources, or moisture issues that attract ants to begin with. Simply removing visible ants doesn’t eliminate the colonies, which can remain active underground or within structures. Engaging with local service providers who offer ant infestation control can provide tailored strategies that target both the visible pests and their nests. This comprehensive approach is often necessary to prevent future re-infestations and maintain a pest-free environment. Keep reading to learn more about how professional treatments can help resolve these persistent issues effectively.

Get Quotes for Ant Infestation Control

  • Ant Infestation Prevention - homeowners noticing recurring ant problems may need professional services to identify and eliminate hidden colonies that DIY methods miss.
  • Ant Nest Removal - when ant nests are located inside walls or underground, local contractors use specialized techniques to remove the source and prevent future invasions.
  • Barrier Treatments - persistent ant issues often require ongoing barrier treatments applied by service providers to block entry points around the property.
  • Infestation Inspection - ongoing ant returns can be caused by overlooked entry points or new colonies, making thorough inspections essential for effective control.
  • Preventive Strategies - repeated ant problems highlight the importance of tailored prevention plans designed by local experts to address specific property vulnerabilities.
Why Ant Infestations Keep Returning Without Professional Treatment
Why Ant Infestations Keep Returning Without Professional Treatment
Why Ant Infestations Keep Returning Without Professional Treatment

When people search for why ant infestations keep returning without professional treatment, they are often trying to understand the persistent nature of these pests and why DIY methods or over-the-counter solutions fail to provide lasting relief. Ant infestations can be frustrating because they tend to reappear even after initial efforts to eliminate them. Homeowners typically associate this recurring problem with hidden colonies or ongoing access points that are not addressed by simple sprays or bait stations. This search often relates to broader concerns about ongoing property damage, cleanliness, or the inconvenience of constant ant activity, prompting many to seek professional help to identify and eliminate the root causes.

This issue commonly relates to properties where ants find favorable conditions to establish colonies, such as kitchens, bathrooms, or outdoor areas with accessible food and water sources. People often encounter this problem in homes, apartments, or commercial spaces that have visible ant activity, but the real challenge lies beneath the surface-inside walls, under floors, or in soil around the property. Common plans to manage these infestations include using store-bought treatments or attempting to block entry points, but these approaches often fall short because they do not target the entire colony or its nesting sites. As a result, homeowners increasingly look for local service providers who specialize in comprehensive ant control to effectively break the cycle of recurring invasions.

Properties that frequently come up in discussions about persistent ant problems tend to be those with specific vulnerabilities. Residential homes with accessible entry points, such as gaps around windows, doors, or utility lines, are common targets. Additionally, properties with landscaping that provides shelter or food sources-like mulch beds, wood piles, or unkempt lawns-are more prone to ongoing ant activity. Commercial buildings, especially restaurants or grocery stores, also face challenges with ant infestations that keep returning due to the presence of food residues or moisture. Local contractors who specialize in ant control can assess these vulnerabilities, identify hidden colonies, and implement targeted treatments that go beyond surface-level solutions, helping to prevent future invasions.

Understanding why ant infestations keep returning without professional treatment highlights the importance of proper inspection and comprehensive solutions. DIY methods often address only the visible ants or surface entry points, leaving the colony underground or within the structure untouched. Local service providers are equipped to locate nesting sites and apply treatments that eliminate the entire colony, reducing the chances of re-infestation. For property owners, partnering with experienced ant control professionals can make a significant difference in achieving long-term relief. These experts can tailor their approach based on the specific property type and conditions, ensuring that efforts are focused on the root causes of recurring ant problems and helping to keep homes and businesses ant-free.

Pest Inspection Services - professionals who conduct thorough inspections to identify hidden ant nests and entry points that contribute to recurring infestations.

Home Sealing Projects - local contractors specializing in sealing cracks and gaps to prevent ants from re-entering structures after initial treatment.

Moisture Control Solutions - service providers who address excess moisture issues that attract ants and support their ongoing presence.

Sanitation and Debris Removal - experts who help eliminate food sources and clutter that can sustain ant colonies indoors and outdoors.

Landscape Management Services - professionals who modify yard and garden conditions to reduce ant habitats near homes.

Barrier Treatment Applications - local pest control specialists who apply residual barriers to prevent ants from returning after initial eradication.

Why Ant Infestations Keep Returning Without Professional Treatment

When comparing service providers for ant infestation control, it’s important to consider their experience with similar projects. Local contractors who have a proven track record of handling ant infestations, especially those that keep recurring, are more likely to understand the complexities involved. An experienced professional can identify common reasons why ant infestations keep returning without professional treatment, such as hidden nesting sites or persistent food sources, and tailor their approach accordingly. Seeking out providers with a history of successful resolutions for similar issues can help ensure that the chosen contractor has the practical knowledge needed to address the root causes effectively.

Clear written expectations are essential when evaluating ant control services. A reputable service provider should be able to explain their methods, what the treatment process involves, and what results can reasonably be expected. This transparency helps prevent misunderstandings and sets a foundation for a mutually agreed-upon plan. Homeowners should look for contractors who provide detailed descriptions of their services and what is included, ensuring that both parties are aligned on the scope of work. Well-documented expectations also make it easier to assess whether the provider’s approach is suitable for addressing why ant infestations keep returning without professional treatment.

Reputable references and good communication are key factors in selecting a reliable local contractor. Asking for references from previous clients who experienced similar issues can provide insight into the contractor’s ability to deliver consistent results. Additionally, a service provider who maintains clear, responsive communication is more likely to keep homeowners informed throughout the process and address any concerns promptly. This level of professionalism can be a strong indicator of the contractor’s commitment to quality service and their ability to effectively manage ongoing ant problems. When considering ant infestation control services, prioritizing providers with solid references and open communication channels can help ensure a smoother experience and a better chance at long-term resolution.

Get a Quote for Ant Infestation Control

Property owners often search for why ant infestations keep returning without professional treatment when they are planning practical projects around their homes and businesses. Local pros provide Ant Infestation Control services for everyday jobs and straightforward project options.

Why Ant Infestations Keep Returning Without Professional Treatment
Why Ant Infestations Keep Returning Without Professional Treatment

Ant infestations often keep returning without professional treatment because ants are persistent creatures that can find multiple ways back into a property. Small entry points, such as cracks in the foundation or gaps around doors and windows, can serve as constant access points for foraging ants. Additionally, if food sources like crumbs, spills, or uncovered trash are not thoroughly managed, they attract ants repeatedly, making it difficult to achieve long-term control without expert intervention. Property owners in the area may find themselves repeatedly battling ants despite regular cleaning and DIY efforts, which highlights the importance of enlisting experienced service providers who understand the common entry points and attractants specific to the local environment.

Another reason why ant infestations tend to persist is that ant colonies are often hidden deep within walls, beneath floors, or in other hard-to-reach areas. Without professional treatment, these nests remain active and can produce new worker ants that continually re-infest the space. Simply removing visible ants or applying surface sprays may only provide temporary relief, as the underlying colony remains untouched. Local contractors specializing in ant control can identify and treat these hidden colonies effectively, helping to break the cycle of recurring infestations. Property owners searching for solutions often consider these professional services to ensure comprehensive treatment that addresses both the visible ants and the unseen nests fueling the problem.

Get a Quote for Ant Infestation Control

Why do ant infestations keep returning even after treatment? Ant infestations often return because the colony's nest remains hidden nearby, allowing new ants to re-enter the home. Local contractors can identify and treat the entire nest to prevent recurrence.

How can I prevent ants from coming back after an initial removal? Preventative measures include eliminating food sources, sealing entry points, and removing attractants. Experienced service providers can offer tailored strategies to reduce the chances of reinfestation.

Why is it difficult to eliminate ants without professional help? Ant colonies can be extensive and hidden deep within structures or outdoors, making DIY efforts less effective. Local pest control experts have the tools and knowledge to target colonies effectively.

Can ongoing ant activity be a sign of a larger problem? Yes, persistent ant activity may indicate a large or deeply nested colony. Professional services can assess and address the root cause to prevent future issues.

What role do local contractors play in stopping ant infestations from returning? Local service providers conduct thorough inspections, identify nesting sites, and apply targeted treatments that reduce the likelihood of ants returning without ongoing DIY efforts.

Identify hidden entry points - property owners can work with local contractors to seal cracks and gaps that ants use to enter buildings, reducing ongoing infestations.

Eliminate attractants and food sources - removing crumbs, spills, and accessible food containers helps prevent ants from establishing a persistent presence indoors.

Address nesting sites outdoors - consulting with local pros to treat ant nests in soil or around the foundation can prevent colonies from re-establishing inside.

Implement ongoing monitoring and barrier treatments - setting up regular inspections and barrier methods with the help of local service providers can keep ants from returning.

Why Ant Infestations Keep Returning Without Professional Treatment

If you are thinking about why ant infestations keep returning without professional treatment for a property, this guide is meant to help you understand this topic, the typical project types, and how different options might fit your plans.

When you are ready, you can use the quote form on this page to share a few details about your project. From there, local pros can review the basics and follow up with options that match what you have in mind.

Get a Quote for Ant Infestation Control

Ant Infestation Control Quotes

Our Trusted Partners
Cantu Pest Control
Orkin
Hawx Pest Control