Local Service Overview

Get Ants Extermination Service in Gunter, TX

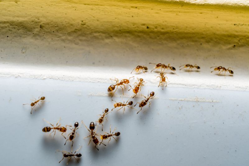
Ants extermination services for property owners in Gunter, TX, and nearby areas address ant infestations, prevent future invasions, and handle residential and commercial ant control projects.

Gunter, TX

Ants extermination services are essential for property owners in Gunter, TX who want to maintain a comfortable and safe living environment. Infestations can disrupt daily routines and compromise the safety of residents, making professional pest control a practical solution. By addressing ant problems promptly, property owners can enjoy a more functional space free from the nuisance and potential damage caused by these pests, ensuring their homes and businesses remain inviting and secure.

Choosing expert ant extermination services also offers benefits related to durability and reduced maintenance. Effective treatments help prevent future infestations, preserving the integrity of structures and minimizing ongoing pest management efforts. Additionally, a pest-free property enhances curb appeal, creating a clean and well-maintained appearance that can positively influence the overall value and impression of the property in Gunter, TX.

Get Ants Extermination Service Quotes

  • Ants Extermination - A service needed when ants invade kitchens, pantries, or other indoor spaces in Gunter, TX and nearby areas.
  • Ants Extermination - Essential for homeowners experiencing persistent ant colonies in lawns, gardens, or around the foundation of their property.
  • Ants Extermination - Recommended when outdoor ant trails are visible on patios, walkways, or around landscaping in the local region.
  • Ants Extermination - Useful for businesses requiring pest control to maintain a clean and pest-free environment in commercial spaces.
  • Ants Extermination - Contacted when ant activity is detected inside walls, attics, or crawl spaces, indicating an infestation that needs professional attention.

Get Ants Extermination Service Quotes

Ants Extermination Service
Ants Extermination Service
Ants Extermination Service

Ants extermination services involve identifying and eliminating ant infestations within residential, commercial, and industrial properties. These services typically include thorough inspections to locate ant colonies and entry points, followed by targeted treatment applications designed to eradicate both visible ants and their nests. Service providers may utilize various methods such as baiting systems, insecticidal dusts, sprays, and barrier treatments to effectively control and prevent future invasions. The goal is to create a pest-free environment by addressing the root causes of the infestation and implementing long-term prevention strategies.

Ant infestations can pose significant problems for property owners, including damage to structures, contamination of food supplies, and general nuisance. Certain types of ants, like carpenter ants, are known to cause structural damage by hollowing out wood, while others, such as fire ants, can pose health risks through painful stings. Left untreated, ant colonies can rapidly expand, making control more difficult over time. Professional extermination services help mitigate these issues by removing colonies efficiently and reducing the likelihood of recurring problems, ensuring properties remain safe and hygienic.

Properties that commonly utilize ant extermination services include homes, restaurants, grocery stores, warehouses, and office buildings. Residential properties often seek treatment to protect kitchens, gardens, and living spaces from persistent ant activity. Commercial establishments, particularly those involved in food preparation and storage, require regular pest control to maintain cleanliness and comply with health standards. Larger properties like warehouses or industrial facilities may need ongoing pest management plans to address potential entry points and prevent large-scale infestations that could disrupt operations.

Engaging with local pest control professionals for ant extermination ensures that treatments are tailored to the specific type of ants and the unique characteristics of each property. These specialists are equipped to handle infestations of various sizes and complexities, providing solutions that help maintain a pest-free environment. Property owners can benefit from expert guidance on prevention measures and integrated pest management practices to minimize the risk of future ant problems. Connecting with experienced service providers is an effective step toward resolving ant issues efficiently and maintaining a healthy, pest-free space.

The overview below groups typical Ants Extermination Service projects into broad ranges so you can see how smaller, mid-sized, and larger jobs often compare in Gunter, TX.

In many markets, a large share of routine jobs stays in the lower and middle ranges, while only a smaller percentage of projects moves into the highest bands when the work is more complex or site conditions are harder than average.

Per-Visit Treatment - The cost for a single ant extermination visit typically ranges from $150 to $300, depending on the size of the affected area. Some providers may charge around $200 for a standard residential treatment.

Initial Inspection and Treatment - An initial inspection combined with treatment can cost between $250 and $500. Larger properties or severe infestations may incur higher fees within this range.

Monthly Service Plans - Ongoing monthly ant control plans generally cost between $40 and $70 per visit. These plans often include regular treatments to prevent future ant problems.

Quarterly Pest Control Packages - Quarterly service packages for ant extermination typically range from $150 to $400 annually, depending on the property's size and the extent of the infestation. These packages provide scheduled treatments to maintain ant-free conditions.

Actual totals will depend on details like access to the work area, the scope of the project, and the materials selected, so use these as general starting points rather than exact figures.

Get an Ants Extermination Service Quote

Ants Extermination - Local pest control providers offer targeted solutions to eliminate ant infestations in residential and commercial properties. Their services may include inspection, baiting, and treatment to control ant populations effectively.

Ants Nest Removal - Professionals can identify and remove ant nests to prevent ongoing or future invasions, utilizing methods that address both visible and hidden colonies.

Indoor Ant Control - Service providers specialize in treating indoor spaces to eradicate ants and prevent re-entry, focusing on high-traffic areas and entry points.

Outdoor Ant Treatments - Experts apply treatments around the perimeter of properties to create a barrier that deters ants from entering indoor spaces.

Ant Prevention Services - Local providers offer advice and treatments to reduce attractants and entry points, helping to keep ants from returning after initial removal.

Ant Inspection Services - Professionals conduct thorough inspections to assess the extent of ant problems and recommend appropriate treatment strategies.

Ants Extermination Service

When comparing local ant extermination service providers, experience is a key factor to consider. Homeowners should look for professionals who have a proven track record in handling ant infestations within the Gunter, TX area. An experienced contractor is more likely to understand the specific behaviors of local ant species and apply effective treatment methods. Gathering information about how long a provider has been operating and their familiarity with local pest issues can help in assessing their ability to deliver reliable results.

Clear communication and well-defined expectations are important when selecting a pest control service. Reputable providers typically offer detailed explanations of their treatment approaches, what homeowners can expect during and after the service, and any necessary preparations. Ensuring that the contractor is transparent about their process helps homeowners make informed decisions and reduces the potential for misunderstandings. Consistent and professional communication also indicates a service provider’s commitment to customer service.

References and reputation can serve as valuable indicators of a local pest control provider’s reliability. Homeowners are encouraged to seek out service providers with positive references from previous clients in the Gunter area. Reviews and testimonials, whether provided directly or through independent sources, can shed light on a contractor’s track record. Additionally, a professional’s reputation for punctuality, professionalism, and effective results can help guide homeowners toward choosing a trusted local expert for ant extermination services.

Get an Ants Extermination Service Quote

Property owners in Gunter, TX use Ants Extermination Service services for practical projects around their homes and businesses. The sections below highlight everyday jobs and straightforward project options.

Ants Extermination Service
Ants Extermination Service

Ants extermination services are often sought by property owners in Gunter, TX, experiencing persistent ant activity around their homes or businesses. Common situations include noticing ant trails in kitchens, bathrooms, or other interior spaces, which can indicate an ongoing infestation. Property owners may also seek professional assistance after attempting DIY methods that fail to eliminate the problem or when they observe increased ant activity during warmer months. Local service providers can assess the extent of the infestation and implement targeted treatment plans to help restore pest-free conditions.

In addition to interior concerns, property owners may look for ants extermination services to address outdoor issues that threaten the landscape or property structure. Ant colonies nesting near foundations, gardens, or mulch beds can lead to ongoing infestations and potential damage. Professionals can identify entry points and nesting sites, offering solutions to prevent future invasions and maintain a clean, pest-free environment. These services are often part of a broader pest management approach aimed at safeguarding homes and properties in Gunter, TX from common household pests.

Get an Ants Extermination Service Quote

How do ant extermination services work? Ant extermination services typically involve inspecting the property to identify ant colonies, followed by targeted treatments such as baits, sprays, or dusts to eliminate ants and their nests.

Are ant extermination treatments safe for pets and children? Many local pros use treatments that are safe when applied properly; it is recommended to discuss safety concerns with the service provider before treatment.

How long does an ant extermination treatment usually last? The duration of effectiveness varies depending on the treatment method and ant species, but some services offer ongoing monitoring or follow-up options.

What are common signs of an ant infestation? Signs include visible ant trails, ants inside the home, especially near food sources, and the presence of ant mounds outdoors.

Can ant extermination services prevent future infestations? Yes, many service providers offer preventative treatments or advice to help reduce the likelihood of future ant problems.

Ants Identification and Prevention - Local pest control providers can assess property conditions to identify ant species and recommend preventive measures to reduce future infestations.

Ant Extermination Treatments - Professionals utilize targeted treatments such as baits and insecticides to eliminate ant colonies effectively around residential and commercial properties.

Ongoing Pest Monitoring - Service providers may offer ongoing monitoring plans to detect ant activity early and prevent re-infestations.

Customized Pest Control Plans - Local experts can develop tailored strategies based on specific ant problems and property layouts for optimal results.

Ants Extermination Service

Considering Ants Extermination Service for a property in Gunter, TX? The sections above highlight common project types, practical options, and details that often shape the scope of work.

When you are ready, use the quote form to share a few details about your project. Local pros can review the basics and respond with options that match what you have in mind.

Get an Ants Extermination Service Quote

Ants Extermination Quotes

Our Trusted Partners
Cantu Pest Control
Orkin
Hawx Pest Control